family CERAMBYCIDAE Latreille, 1802
subfamily LAMIINAE Latreille, 1825
tribe Saperdini Mulsant, 1839
genus Menesia Mulsant, 1856
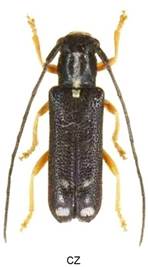
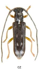
Menesia bipunctata (Zoubkov, 1829)








Bionomie. Vlhká stanoviště v povodí řek, rašeliniště. Vývoj v kůře a pod kůrou oslabených a odumírajících kmínků a větví o síle do 5 cm, zřídka silnějších. Larva vyhlodává ploché chodbičky a kuklí se v komůrce mělce i hlouběji ve dřevě. Výletový otvor je ucpaný vykousanými třískami. Přezimuje v larválním stadiu. Doba vývoje jeden rok (Čerepanov (1985) udává 1 – 2 roky). - Imaga se vyskytují od posledních dnů V. do poloviny VII., maximum VI., převážně na větvičkách a listech. Podle Čerepanova (1985) ožírají listy a větvičky.
Živné rostliny - Téměř výhradně ve Frangula alnus, Juglans regia, Populus tremula, Čerepanov (1985) uvádí převážně Salix caprea (96,5 %).
Variabilita. Obvykle jsou na krovkách na konci dvě bílé skvrny, někdy může být k ramenům až 10 skvrn.
CZ Frangula alnus

